Huracán Melissa alcanza categoría 4 y amenaza a Jamaica y Cuba

Huracán Melissa alcanza categoría 4 y amenaza a Jamaica y Cuba

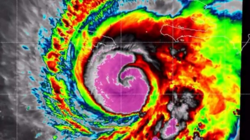
Kingston, Jamaica, 26 de octubre del 2025.- El huracán Melissa se fortaleció este domingo hasta convertirse en un poderoso fenómeno categoría 4, con vientos máximos sostenidos de 225 kilómetros por hora, y podría intensificarse a categoría 5 en las próximas horas, según informó el Centro Nacional de Huracanes de Estados Unidos (NHC).

El fenómeno ha generado lluvias torrenciales e inundaciones severas en el norte del Caribe, con especial impacto en Haití y Jamaica, donde las autoridades han emitido alertas de emergencia.

De acuerdo con el NHC, el centro del huracán se ubicaba a 195 kilómetros al sur-sureste de Kingston, Jamaica, y a 450 kilómetros al sur-suroeste de Guantánamo, Cuba, avanzando lentamente hacia el oeste a 8 km/h.

Se prevé que toque la costa sur de Jamaica el martes por la mañana, antes de dirigirse hacia Cuba y posteriormente a las Bahamas.

El primer ministro de Jamaica, Andrew Holness, pidió a la población tomar en serio la amenaza:

“Insto a los jamaicanos a tomar en serio esta amenaza climática. Tomen todas las medidas para protegerse”, expresó.

Publicado por Redacción / Noventa Grados | 26 de Octubre de 2025 a las 08:17:34
Destacadas